Działka rolna Brzoskwinia gm. Zabierzów
Brzoskwinia gm. Zabierzów Pokaż na mapie ›
Odświeżone: Poniedziałek, 03 Listopad, 2025 22:26
90 000 zł
23 zł/m2
Szczegóły ogłoszenia
- Kategoria: Działki i grunty / Sprzedaż
- Pow. działki:4000 m2
- Rodzaj działki:Rolna
- Sprzedaż:Pośrednik
- Cena: 90 000 zł / 23 zł/m2
Opis oferty
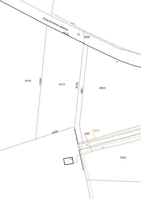
Na sprzedaż działka rolna o powierzchni 4000 m2 położona w miejscowości Brzoskwinia (gm. Zabierzów) przy ul. Krakowskiej. Objęta jest miejscowym planem zagospodarowania przestrzennego z przeznaczeniem na cele rolne. Działka delikatnie nachylona na stronę północną z bezpośrednim dostępem do drogi powiatowej i drogi gminnej. W kształcie trapezu o wymiarach około 42m x 118m x 42m x 87m. W sąsiedztwie budynki jednorodzinne, łąki i las. Działka częściowo zakrzewiona i zadrzewiona.Media:
- woda, prąd na działce sąsiedniej.
Nieruchomość zlokalizowana około:
- 11 km od centrum Krzeszowic,
- 11 km od centrum Zabierzowa,
- 7 km od Lotniska Balice oraz wjazd na autostradę A4
- 20 km od Krakowa.
Link do lokalizacji google maps: https://goo.gl/maps/RTUvJjBBUPSTyEuU7
Współrzędne do lokalizacji : 50.089633, 19.740051
Link do miejscowego zagospodarowania przestrzennego: https://sip.gison.pl/zabierzow
Numer działki: 677/3 obr. Brzoskwinia.
Identyfikator działki: 120616_2.0006.677/3
Treść niniejszego ogłoszenia nie stanowi oferty handlowej w rozumieniu Kodeksu Cywilnego.
Numer oferty: 15
Sprawdź zainteresowanie tym ogłoszeniem
Wyświetlenia
Data dodania
Ostatnio widziany
Obserwujących
Wysłane zapytania
Odsłony telefonu
Paweł Palka
Konto firmowe
Na Lento.pl od 13 lip 2023
Odpowiada szybko
Strona użytkownika
- Wypromuj ogłoszenie
- Zgłoś naruszenie
- Drukuj ulotkę
- Edytuj/usuń ogłoszenie
- Udostępnij ogłoszenie
- Dodaj na Facebook





